
(타이베이=연합뉴스) 김철문 통신원 = 제6호 태풍 '인파'가 대만에 접근하면서 대만 당국이 해상 태풍경보를 발령하고 비상 경계 태세에 들어갔다.
대만 중앙기상국은 제6호 태풍 인파가 동쪽 해상에서 접근해옴에 따라 21일 저녁 8시 30분(현지시간)을 기해 대만 북부와 북동부, 남동부 해상에 태풍경보를 발령했다.
제6호 태풍 인파는 마카오에서 제출한 이름으로 불꽃놀이를 의미하는 태풍명이다.
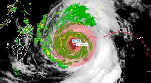
중앙기상국은 인파가 23일 오전 8시 30분 기준 대만 타이베이(臺北) 동남동쪽 약 420㎞ 떨어진 해상에서 시속 8~13㎞의 속도로 북북서 방향으로 진행하고 있다고 밝혔다.
중심기압 950hPa, 강풍반경은 200km, 최대 풍속은 초속 40m다.

기상국은 태풍이 24일 오전에 가장 가까이 접근할 것으로 내다보면서 북부와 북동부 지역 및 북부 산간 지역에 호우가 내릴 것으로 예상했다.
이어 북부 타이베이시, 신베이(新北)시, 타오위안(桃園)시 등에 호우 경보를 발령했다.
아울러 이번 태풍의 이동 경로가 확실하지 않다면서 대만 본섬의 태풍으로 인한 피해 방지를 철저히 해달라고 당부했다.
그러면서 24일 오후가 되면 대만에서 점차 멀어지면서 중국 푸젠(福建)성과 저장(浙江)성 지역에 상륙할 것이라고 예상했다.
대만언론은 북부 신주(新竹)현 우펑(五峰) 지역에서 21일부터 하루 동안 이미 300mm의 강우량을 기록하고 도로가 끊김에 따라 소방당국이 지역민에 대피를 권고하고 있다고 전했다.
게다가 전날 저녁까지 이번 태풍의 속도가 시속 8~10km인 것으로 알려짐에 따라 태풍의 속도가 시속 8.7km로 지난 2001년 대만에 큰 인명 피해를 안긴 태풍 '나리'의 악몽을 떠올린다고 EBC 방송이 전했다.
당시 태풍 나리로 인해 대만 타이베이 지하철과 타이베이역 등이 물에 잠기고 10명이 실종되고 94명이 사망하고 직접 피해액만 약 8억 대만달러(약 328억원)였던 것으로 알려졌다.

한편 중국 중앙기상대는 태풍 나리가 최대 풍속이 초속 55m(16급)인 초강력 태풍으로 변할 가능성이 있다고 우려하면서 25일 낮에 저장(浙江)성 북부와 푸젠(福建)성 남부 해안 지역에 상륙할 것이라고 밝혔다.
또 상하이 기상국은 23일 오전 7시 30분 기준으로 태풍 예비 경보 신호를 올해 처음으로 발령했다.
이에 따라 중국 중부 허난(河南)성의 성도인 정저우(鄭州)에서 역대 최고의 폭우로 25명이 숨지는 등 큰 피해가 발생함에 따라 푸젠, 저장, 상하이 지역에 긴장감이 돌고 있다고 대만 매체가 전했다.

jinbi100@yna.co.kr
(끝)
<저작권자(c) 연합뉴스, 무단 전재-재배포 금지>
관련뉴스








